Pasar al contenido principal

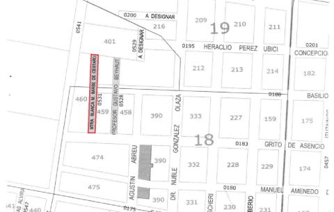
Calle de San Carlos fue designada con el nombre “Maestra Blanca M. Barbé de Cestaro”

11 de Octubre, 2023

Mediante la resolución Nº 09316/2023 se denominó con este nombre a la calle Oficial Nº 0531, en toda su extensión.

La solicitud de la incorporación de la maestra Blanca M. Barbé de Cestaro al nomenclátor de la ciudad carolina, fue realizada por el Centro de Investigaciones de San Carlos.

Por lo tanto, considerando que la actuación remitida obtuvo opinión favorable por parte de la Junta Departamental de Maldonado, la IDM resolvió la designación planteada.

Se adjunta la resolución correspondiente.